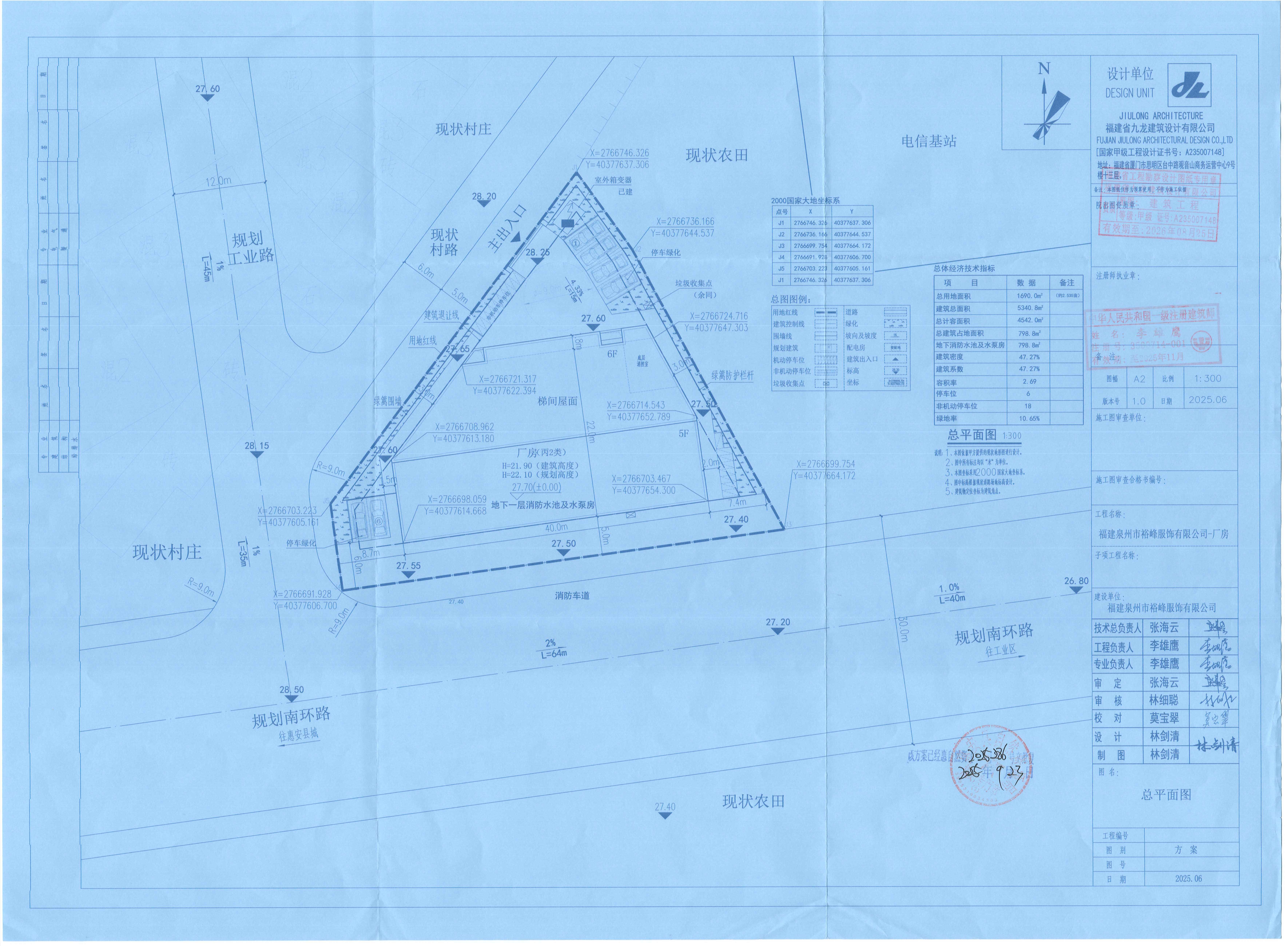
福建泉州市裕峰服饰有限公司厂房项目建设工程规划许可变更批前公示
时间:2025-11-05 16:55 浏览量:
 

扫一扫在手机上查看当前页面